文章资讯
男生英文名字简单气质 男生英文名字 好听的 寓意好的
1、简单有气质的男生英文有:Tom、Mark、Jay、Jack、Terry、Harlan、Holden、Luke、Bowen、Reece、Hugh、Ken、Jason、John、Brian、Ryan、Jim等等。2、英文
超纤皮是什么材质(超纤皮是什么材质好不好)
1、超纤皮是超细纤维PU合成革的简称,是超细纤维短纤通过梳理针刺制成三维结构网络的无纺布,再经过湿法加工、PU树脂含浸、碱减量、磨皮染整等工艺最终制成超细纤维皮革。2、超纤皮是在PU聚氨酯加入超细纤维,使得韧性和透气性、
女孩的名字大全气质(女孩的名字大全气质适合马字)
1、希彤 安林 雅雅 妙薇 菲美 晓诗2、璐昕 语祖 希甜 倩淇 以筱 盈青3、欣雅 悦妙 采菡 露莹 若倪 倩晓4、雅可 彤妍 薇洁 诺黛 紫婷 滢姗5、淇汐 倩慕 馨颖 幼丝 璇娅 怡希6、林雪 倩双 兰洁 竹佳 薇
什么属相不能佩戴象牙(猛犸牙现在的市场价格)
1、对于属相来说,属猴和属鸡都不适合。因为属猴和属鸡的五行属金,与象牙的五行属性相克。所以属猴、属鸡这两个属相不能佩戴象牙,有相克之嫌。2、据说象是阳气极盛的动物,对于多见阴邪的地方,更显驱邪的功能。象牙又是象身上最坚固
朗朗上口的男生英文名(100个好听到爆英文名男)
1、朗朗上口的男生英文名有:Andrew、Armand、Adrian 、Albert、Allen、Barton、Brian、Bruce、Charles、Baron、Conrad、Colin、Clark、Carl、Dick
做梦梦见猫 做梦梦见猫是什么征兆
1、梦见猫,意味着近期在人际相处中比较一帆风顺,但也不要在维系人与人之间的关系中过于懈怠。能够帮忙的地方给予他人及时的帮助有助于行好运。2、梦见猫,意味着最近事业上可能会有起色,因此,在工作中应该把握好机会。
地黄怎么种植 地黄适合什么地方种植
1、土壤:地黄喜欢肥沃的土壤,黏性的红土壤跟黄土壤是不行的,一般选用沙质土壤来种植是最适合的。2、水分:地黄的吸水性差根系少,水分过多会造成其根茎的腐烂,只要保持土壤的湿润就可以了,浇水次数要少。不要有积水的出现,在遇到
去蒙古包做客过夜注意事项 去蒙古包禁忌
1、蒙古包的东侧是留给女主人睡的地方。这点一定非常注意。当然如果有单独的蒙古包更好。内地有些对草原上蒙古包坐客,要注意不要踩牧民的门槛。还有,不要在火盆上跨过。吃饭时,不要把刀尖对着主人。坐的位置也很有讲究,男的坐左边,
在家怎么种桑黄(在家怎么种桑黄花)
1、种植条件在家里种植桑黄要注意环境方面,一般在二月中下旬就开始制袋,三四月份就要栽培菌袋开始养菌。还要很好的控温,保湿。温度最好在23到25度之间,湿度在60%-65%之间。2、准备工作提前准备出菇架,长度在2.5米左
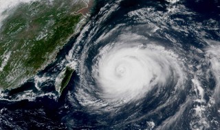
15级的台风有什么特征 15级台风到底有多强
1、15级台风即强台风,是指中心附近最大风力14-15级(41.5-50.9m/s)的热带气旋。当强台风继续加强,会成为超强台风,如果强台风的强度减弱,会成为台风。2、损毁性严重,对不坚固的建筑物、架空的各种线路、树木、
笔名女生古风 笔名女生古风诗意二字
1、【素笺淡墨】“素”指白色,“笺”是纸张。取这个笔名突出了作者的个人特点和喜好习惯,纯白的纸上有淡淡的墨痕,给人一种雅致古典的意味,清冷孤傲中又让笔名带出了一种文人的艺术气息,也特别符合女生的品味和素养,而且充满了孤傲
梦到自己掉牙 梦到自己掉牙齿不疼不流血
1、梦见自己掉牙了,预兆着近期梦者的运势尚可,财运普通,会让机会溜走,应酬开支依然较大,容易和朋友发生财务方面的纠纷,建议谨言慎行,把握好机会。2、本命年的人梦见自己掉牙了,平顺如意,一切依理行事,得名利双全。3、恋爱中
富贵竹黄叶子怎么补救(富贵竹发黄的叶子如何处理)
1、提高温度:富贵竹的叶子发黄了,可以考虑一下是不是温度的原因。富贵竹喜欢高温,属于热带植物,耐不住低温的生长环境。当周边温度低于10度时,可能会引起冻伤,出现大量的黄叶。可以将富贵竹移到温暖处养护,提高温度,促进叶子变
龙睛金鱼怎么养(龙睛金鱼怎么养长的快)
1、水温。养殖龙睛金鱼的水温一般要求在10℃-20℃之间。当温度太低时,龙睛金鱼会休眠,当温度太高时,会影响龙睛金鱼的食欲,影响生长速度。 2、溶解氧。养殖龙睛金鱼需要注意水量的溶解氧。当溶解氧缺时,龙睛金鱼会浮上水呼
家里的灰尘是怎么形成的(家里的灰尘是怎么形成的原因)
1、人类活动导致:家中有人在就会有灰尘,微小的灰尘是肉眼看不见的,它简直无孔不入。我们的日用品、衣服等都带有灰尘。比如你从外回家,衣服在外面的环境中早已沾上了灰尘,回到家中不换衣服坐在沙发、床上都会有灰尘,脱衣服的时候也
社保卡是什么 社保卡是什么作用和用途
1、个人社会保障相关信息记录、电子凭证和信息查询等。2、记录参保人员姓名、身份证号码、出生年月、性别、民族、户籍所在地等基本信息。3、查询本人养老、失业、医疗、工伤和生育保险缴纳情况;可持卡到医院就医,到药店买药;办理医
新都桥海拔高度是多少米(新都桥海拔有多高,一般人能承受吗?)
新都桥海拔高度约3300米。新都桥并不是一座桥,而是一个小镇的名字。新都桥镇隶属于四川省甘孜藏族自治州康定市,地处康定市折多山以西、川藏线南北两路分岔口的立曲河中游,东靠瓦泽乡,南接呷巴乡,西与雅江县接壤,北与塔公乡毗邻。 因为这个小镇位于川藏线上,来往旅客多,逐渐被摄影家发现了此处非常绝美的“10余公里摄影胜地”。
公积金缓交是什么意思 公积金缓缴是什么意思
公积金缓交其实就是指暂时停止缴纳公积金。当工作单位办理了公积金缓交以后,工作单位就可以暂时不需要为职工缴纳公积金,并且也不会被视为逾期处理。当工作单位需要办理公积金缓交的时候,应该携带相关的材料前往当地的住房公积金管理中心进行办理。
裸婚什么意思(夜场为什么女的难怀孕)
“裸婚”是指不办婚礼甚至没有婚戒而直接领证结婚的一种简朴的结婚方式。“裸婚”是2008年兴起的网络新词汇。“裸婚”也可以理解为没有婚礼的结婚,婚礼的概念在年轻一代人眼中越来越薄弱,他们更注重两人的感情,更想要一个独立且自由的婚姻。
t型热电偶的正负极判断(t型热电偶工作原理)
一般热电偶红色一段为正极,其他颜色线就是负极。测量温度时,正极输出正电势,负极输出负电势。T型热电偶即铜康铜热电偶,正极为纯铜,负极为铜镍合金,称之为康铜。T型热电偶优点是复制性好,传热快,稳定性、均匀性好。
面粉1355和8607区别(中国最好的面粉排名表)
面粉1355和8607区别:1、1355指中筋面粉,8607指高筋面粉。2、高筋面粉的蛋白质含量比中筋面粉的高。3、中筋面粉为乳白色,高筋面粉颜色较深。4、中筋面粉适合用来做包子、饺子、馒头和面条,高筋面粉适合用来做松饼、泡芙、水果蛋糕等。
工作岗位有哪些 女孩子选什么职业比较好
公司日常的工作岗位有秘书、会计等;一般销售公司的岗位有销售总监、销售经理、区域销售经理、销售主管、销售工程师、销售代表等;另外还有软件工程师、硬件工程师、UI设计师、网络运营维护、网站运营、教师、警察、军人、快递员、公交司机、出租车司机、医生等。
灭火器的使用方法分为四步分别是 灭火器的使用方法分为四步分别是哪三步
灭火器的使用方法分为四步分别是提、拔、瞄、压。“提”指手提灭火器的提把,让灭火器保持水平垂直的状态,“拔”指拔掉灭火器保险销,“瞄”指将灭火器的喷管瞄准火源,“压”指压住灭火器的开关,让灭火器喷出干粉灭火。
景颇族的主要风俗是什么 景颇族的风俗是什么?哪些?
景颇族热情好客,客人进家,无论认识与否,主人都会招待食宿。景颇族喜欢喝烧酒和自制的水酒。景颇人喝酒十分注重礼节,主人递上酒筒,客人要用双手托住酒筒的底部,不能只用一只手抓住酒筒的上部。饮酒时,不能抬着酒筒喝,只能用酒筒盖盛酒喝。
毫米微米纳米换算(厘米毫米微米纳米换算)
1毫米=1000微米=1000000纳米。1毫米=1000微米,1微米=1000纳米,1毫米=1000000纳米。“纳米”即毫微米,通常用“nm”表示。纳米科学与技术,是研究结构尺寸在1至100纳米范围内材料的性质和应用。
碧草毡房春风马背牛羊壮是哪个省的 碧草毡房春风马背牛羊壮苍松雪岭沃野龙江稻谷香
<&abs>“碧草毡房,春风马背牛羊壮”这副上联描绘的是内蒙古自治区的景象。<&list>根据句子中的“毡房”可得知,因为毡房是内蒙古的特色,毡房是用白色毡子做成。<&list>毡房不仅携带方便,而且坚固耐用,住居舒适;并具有防寒、防雨、防地震的特点;一直深受游牧民族的喜爱。
冬天冬眠的小动物有什么(冬天冬眠的小动物有什么特点)
冬天冬眠的小动物有:松鼠、蛇、青蛙、蟾蜍、亚洲黑熊、蜥蜴、蚯蚓、北极熊、蜗牛、鳄鱼、刺猬、乌龟、蝙蝠、黄蜂、睡鼠等。冬眠是一些动物在冬季时对外界环境的一种适应,让自己的生命活动处于极度降低的状态。
怎样修剪玫瑰花才能更旺盛 怎样修剪玫瑰花才能更旺盛一些
1、冬季:在给玫瑰花修剪时,要将其过密枝、徒长枝和细弱枝剪去。2、春季:把玫瑰花的衰老枝剪去,促进其萌生健壮新枝。3、花后:将玫瑰花开败的残花以及花茎剪去,使其次年开花数量增多。4、防病:剪去玫瑰花的病害枝,再喷洒除菌药
土字旁的男孩名字大全 土字旁的男孩名字大全免费
1、【圣哲】“圣哲”出自屈原的《离骚》:“夫维圣哲以茂行兮”。“圣”字中带有土字,指精通某种学问或技艺并有极高成就的人,也指神圣、圣明等,古时多用来形容帝王,是个很霸气的字。“哲”指哲学、哲理。“圣哲”寓意男孩具有超人的
怎么判断蜂蜜过期不能吃了(蜂蜜保质期2年过了还能喝吗)
1、蜂蜜并没有严格意义的保质期,原因是蜂蜜的渗透压极高且富含溶菌酶等天然抗菌物质,在保存良好的前提下蜂蜜甚至能永不变质,但根据相关法规蜂蜜作为食品销售时又必须标注保质期,因此蜂蜜的保质期一般都标注成两年或18个月,事实上
